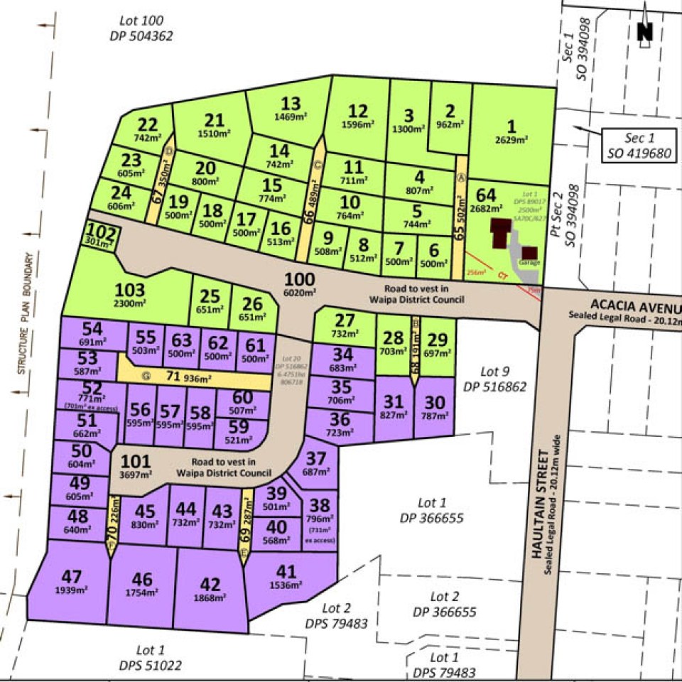
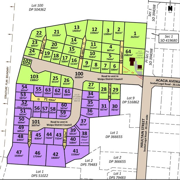
CKL is overseeing the engineering design for a subdivision on the western side of Kihikihi, which will deliver 62 residential lots with views of Mount Pirongia. The 6.725 ha site has been rezoned from Rural to Residential as a result of a Waipa District Council plan change. The developer of the site engaged CKL to design the site and the required roading and utilities services in order to achieve their vision for relatively flat building sites whilst maintaining as much of the natural contour of the land. CKL has scheduled the development into two stages across the 2019/20 and 20101/21 construction seasons. The first stage will deliver 31 lots and involve major earthworks and roading, installation of services and connection points, as well as the construction of a wetland area. The second stage will include additional earthworks and the delivery of a subsequent 31 lots. This is a truly cross functional project, bringing together CKL planners, surveyors, civil engineers, transportation engineers, and stormwater and wastewater engineers.
 





